Privato Vende
Trattativa Riservata
- 5 locali
- 122 mq
Casa indipendente in Vendita da Privato a Girasole
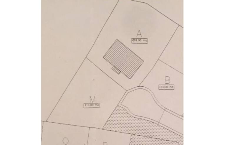
Terreno edificabile 610mq
In zona residenziale si vende un terreno di 610mq con possibilità di edificare una casa di 122mq. Lotto M
Nelle foto è presente uno stralcio dell’urbanizzazione dove e’ riportato il lotto in questione.
Nelle foto è presente uno stralcio dell’urbanizzazione dove e’ riportato il lotto in questione.
DATI PRINCIPALI
- Riferimento
- 371754
- Contratto
- Vendita
- Tipologia
- Casa indipendente
- Superficie
- 122 mq
- Locali
- 5
COSTI
- Prezzo
- Trattativa Riservata
MAPPA
CONTATTA L'INSERZIONISTA
- Aggiornato al 03 mar 2026
Annunci immobiliari da Privati a Girasole
Comune di Girasole
Provincia di Nuoro
Annunci simili
Trattativa Riservata
- 5+ locali
- 150 mq
€ 40.000
- 5 locali
- 40 mq
€ 14.000
- 5 locali
- 70 mq
